宮崎の釣りちぢめてみやつり。宮崎県の釣り情報ポータルサイト。
宮崎で釣りするならまあ一回くらいは見ときないて。さあ、宮崎の釣り場へゴォ!
潮
潮汐情報
釣果情報
釣り場情報
いろいろ
宮崎の釣りに関する決まり事
宮崎の釣りブログ新着記事
宮崎の釣りYouTube
イベント情報
釣具・餌店
釣り用語
ホーム
釣果情報
チヌ
釣果情報
シェア
Tweet
チヌ
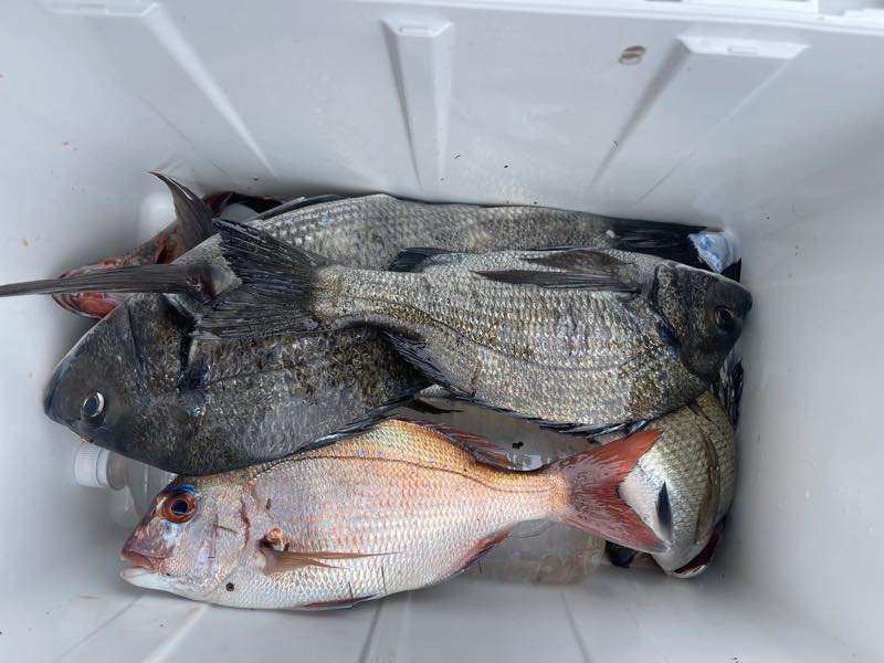
釣り夫婦さんは土々呂港にて、フカセ釣りでチヌを釣り上げました!
釣り人名
釣り夫婦
釣り場分類
防波堤・港
ポイント名
土々呂港
釣行日時
2022/07/17
時間帯
午前中
釣果
チヌ10匹 46~20
仕掛け・釣り方
フカセ釣り
コメント
夫婦で、楽しく釣れました♪
ヤマメ
セイゴ
釣果を投稿する
最近の釣果情報
2026/01/05
セイゴ・エバ
2026/01/05
カマス
2026/01/05
マゴチ
2025/12/31
エバ・セイゴ・ヒラメ
2025/12/29
セイゴ・エバ・コトヒキ
2025/12/28
エバ
2025/12/27
セイゴ・エバ
2025/12/27
コチ
2025/12/25
セイゴ・エバ
2025/12/25
セイゴ
釣果アーカイブ